Chácara dos Sonhos em Araucária 24.300m de Natureza e Tranquilidade
ARAUCARIA - PR
Chácara dos Sonhos em Araucária 24.300m de Natureza e Tranquilidade
Realize o sonho da sua chácara própria!
Não perca esta oportunidade única! Uma área de 24.300 m² de pura natureza espera por você para transformar seus sonhos em realidade. Com declividade s...
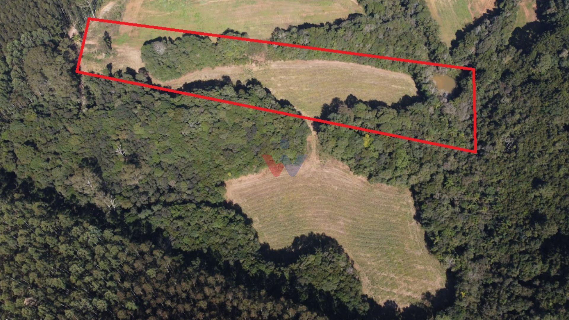
Chácara dos Sonhos em Araucária 24.300m de Natureza e Tranquilidade
Realize o sonho da sua chácara própria!
Não perca esta oportunidade única! Uma área de 24.300 m² de pura natureza espera por você para transformar seus sonhos em realidade. Com declividade suave, a propriedade possui uma área limpa ideal para cultivo de soja, feijão e milho, além de um charmoso trecho de mata nativa preservada.
Imagine relaxar em seu próprio tanque de peixes, aproveitando momentos de tranquilidade e conexão com a natureza. A matrícula individual registrada garante segurança e total legalidade na aquisição.
Localizada no encantador Rio Verde Acima, a apenas 13 km do centro de Araucária e a 465 metros do asfalto, oferece o equilíbrio perfeito entre a serenidade do campo e a praticidade da proximidade da cidade.
Aceitamos permuta por imóvel de menor valor e veículo, mediante avaliação.
Não deixe essa chance escapar! Venha conhecer este pedaço de paraíso que pode se tornar seu.
Esperamos que tenha gostado dessa breve descrição do imóvel à venda. Se você se interessou ou teve alguma dúvida, não hesite em entrar em contato conosco para agendar uma visita ou obter mais informações. Caso prefira atendimento via WhatsApp, basta clicar no botão verde ao lado >>> #PD
Características do Imóvel
Localização do imóvel
Confira alguns de nossos imóveis
Quer vender seu imóvel com rapidez e segurança?
Anunciar conosco é simples e prático, somos uma rede com mais de 30 imobiliárias especializadas em bom atendimento.
Veja alguns dos nossos imóveis que selecionamos para você!
Nós entendemos que uma nova casa é mais do que apenas um imóvel, é a oportunidade de começar uma nova e verdadeira história. Por isso, fazemos o máximo para ajudá-lo a encontrar o lugar perfeito para você.
Encomende seu imóvel conosco!
Não espere mais! Deixe-nos encontrar seu imóvel dos sonhos.
Encomende seu imóvel












